
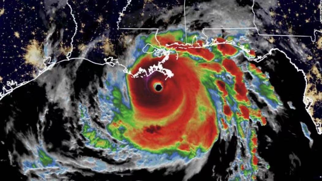
当地时间8月29日,飓风“艾达”在穿越墨西哥湾后向新奥尔良地区移动,并对美国能源供应产生了重大影响。监管机构表示,墨西哥湾附近超过95%的石油生产设施已经关闭。与此同时,美国大型输油管道运营商科洛尼尔管道运输公司(Colonial Pipeline)关闭了得克萨斯州休斯敦和北卡罗来纳州格林斯博罗之间的两条燃油管道。
据分析,飓风“艾达”的登陆地点对于石油行业是“最糟糕”的地点之一,新奥尔良地区关闭的六家炼油厂加在一起的每日炼油总量约占全美国日炼油总量的9%。此外,附近的巴吞鲁日地区的三家炼油厂受飓风“艾达”影响运营水平有所下降,这三家炼油厂加在一起的每日炼油总量约占美国日炼油总量的3.5%。
飓风“艾达”还影响了燃料从墨西哥湾沿岸运送到东海岸市场的主要运输管道。科洛尼尔管道运输公司关闭的两条燃料管道每条长达8851公里,为美国东海岸提供了近一半的汽油和柴油消耗,是美国最重要的能源基础设施之一。(央视记者 刘旭)